Agriculture de précision
Quelques unes des applications:

  • Détection de ravageurs;
  • Drainage/irrigation, pour déterminer les besoins ou détecter l'état du drainage existant;
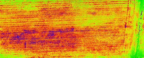
  • NDVI et autres index, ainsi que leurs variations en cours de saison;
  • Réaliser des modèles de hauteur, de vigueur, de couleur, de densité...; 
  • Établir des variations statistiques et des comparaisons avec d'autres données;
  • Déceler et suivre le développement de canaux d'érosion;
  • Inspection de bâtiments;
  • Relevés de terrain;
  • L'observation et l'évaluation de dommage

Que ce soit pour la production de fruits, la culture maraichere ou les grandes cultures, l'utilisation des drones en agriculture permet de détecter rapidement différents problèmes ou lacunes, de les localiser, et ainsi agir directement sur ceux-ci et non sur l'ensemble du terrain. Cette technologie permet donc à la fois un gain de temps, de production, et donc d'argent. Que vous soyez producteurs, agronomes ou autres spécialistes, dans tous les cas vous êtes gagnants à utiliser cette technologie.
 

Accumulation d'eau dans un champ de maïs
Les outils de base que nous utilisons sont les caméras conventionnelles, les capteurs multispectraux, et la thermographie infrarouge. Ces outils permettent de détecter des anomalies de façon précise et géolocalisée sans avoir à parcourir l'ensemble des cultures. Les résultats obtenus permettent donc des interventions ciblées, et pour certains d'être utilisés directement en associations avec les équipements de ferme équipés des nouvelles technologies.